Image of the Day: Super Typhoon Vongfong viewed from the International Space Station – “I’ve seen many from here, but none like this”
9 October 2014 (NBC News) – NASA astronaut Reid Wiseman tweeted an image of Super Typhoon Vongfong in the western Pacific Ocean from the International Space Station on Thursday commenting, “I’ve seen many from here, but none like this.” The most powerful storm of 2014 continues to swirl towards Japan with maximum winds of 165 mph and is expected to make landfall Monday night.
Seen From Space: Super Typhoon Vongfong Churns Towards Japan
By Angela Fritz
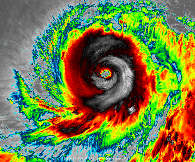
7 October 2014 (Washington Post) – Super Typhoon Vongfong has rapidly intensified over the past 24 hours, from the equivalent of a category two hurricane to a monster typhoon with 155 mph wind speeds, and an estimated central pressure of 908 millibars. Based on satellite estimates of central pressure, Vongfong is now the most intense storm on Earth so far in 2014, and forecast models suggest it could rival the intensity of deadly Typhoon Haiyan of 2013 over the next 24 hours. During the 24 hours between Monday and Tuesday mornings, Vongfong ballooned from wind speeds of 89 mph to 168 mph, based on satellite estimates. The Joint Typhoon Warning Center estimates that Typhoon Vongfong has maximum winds of 155 mph on Tuesday morning, though this is likely a conservative estimate. Vongfong is now the sixth super typhoon of 2014, with winds speeds over 150 mph. The Joint Typhoon Warning Center points to a favorable environment for the cause of the rapid intensification, including low wind shear and excellent outflow, which helps to ventilate and strengthen the storm. Forecast models are suggesting that the super typhoon could continue to intensify, tanking to 895 millibars — a typhoon intensity not seen since Typhoon Haiyan in 2013, which killed over 6,000 people. A pressure that low would beat this year’s second most intense storm — Typhoon Genevieve — by 20 millibars. [more]
Super Typhoon Vongfong explodes, becomes most intense storm on Earth in 2014
